
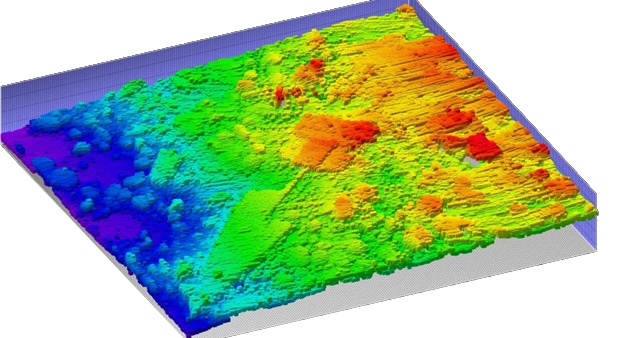
For the past four weeks I have constantly been intrigued, enthralled and fascinated by archaeology, specifically the strange world under the sea. I have been looking at and analysing bathymetry (seabed) data for a 240 km2 area around Portland. I’ve then taken a vast amount of multibeam echo sounder data and processed it into a huge 3D model where the whole of the seabed can be viewed to 2 m resolution. The time consuming process then begins of hunting down all the areas that look like wrecks, making note of them and building individual models of these to much higher resolution (usually 30 cm). I then compared them to data from the UK Hydrographic Office (UKHO) which charts all the wrecks, using this to find more information about them.
During my time studying wrecks there are two moments that were even more exciting than the rest. First is the high quality image of the submarine HMS M2 which I was able to produce. Afterwards I discovered this submarine was in fact the world’s first submarine aircraft carrier! From the 3D model details such as the hydraulic launch ramp on the front of the submarine could be picked out and, after some careful cleaning of the data, it was even possible to see an aerial/periscope protruding from the top of the conning tower.

The second most exciting moment is the potentially rediscovery of the SS Myrtledene wreck. The UKHO records mark the wreck as ‘dead’ (either the wreck has been lost or is considered too destroyed to be observable any more). However, while attempting to build a high quality image of another wreck I purposefully (accidentally) built a high quality 3D model of the wrong area. To my surprise there was in fact a wreck here that wasn’t marked down on the UKHO records (see left). After extensive puzzling I believe I may have found the remains of SS Myrtledene (UKHO reports the last known location of the wreck to be 800 m north of where this wreck is located). Although not confirmed and not a huge discovery it was extremely exciting to have located something uncharted.
I’ve had a fantastic time here and have learnt loads including how to use complex computer software to analyse data as well as understanding better what a workplace feels like. I’d like to thank everyone at Wessex Archaeology for being so open and friendly to me throughout my time here. It’s been a very enjoyable, eye opening and rewarding four weeks that’s flown by and I’m slightly sad that it has come to an end.
By Tom Syndercombe
Marine Geophysics Manager Louise Tizzard said ‘This is the second year we have run this placement scheme and it has been a huge success. Tom has contributed to the marine geophysics team over the last four weeks and his work will help inform our dive team for potential future diving activities and research in the area. The GeoServices department is already looking forward to next year’s placement.’