The Challenge

DP World London Gateway has completed one of the largest dredging projects ever planned in the UK − to widen, deepen and in places re-route the existing commercial shipping channel in the Thames Estuary. The estuary holds thousands of years of archaeological evidence − from the vestiges of plants, landscapes and animals, such as mammoth tusks and teeth, from the Ice Age, to the wrecked remains of ships, submarines aircraft and defensive remains from the Second World War. For well over a decade Wessex Archaeology has been supporting DP World London Gateway in the management and investigation of these sites − before, during and after work in the nearshore, inshore and offshore stages of the project.

View of ship unloading at DP World London Gateway Barrel remains recovered during dive work in the River Thames Filming of dive work and container ships on the River Thames

The Development

Deepening the channel was an essential element of the development, allowing the very large container vessels now coming into service to be accommodated by the Port. These vessels are longer, wider and have deeper draughts than those previously loaded and unloaded at the Port. New port facilities have also been constructed and a logistics part is still being built, including a rail terminal. Material that was dredged from the estuary was used to reclaim the land on which the new facilities stand. Given the high archaeological potential of the estuary and river beds, every phase of this process has been designed to minimise impact on submerged heritage.

Where possible, the dredged channel was routed around known archaeological sites and most of them remain intact on the seabed. For a few sites, however, this was not possible and where appropriate the archaeological remains were recorded in situ, lifted under supervision, and is being stored pending transfer to an appropriate museum service for their long-term care.

Over the course of a decade, investigations by Wessex Archaeology have provided a new perspective on the submerged historic environment of the Thames.

Rachael Haylock-Jones, DP World London Gateway, Environment Manager

Our Approach

Wessex Archaeology’s long term role in this project has included desk-based research, which identified known wrecks within the development footprint, and also identified the potential for previously unknown and chance finds. Geophysical survey was used to ground-truth results of the desk-based assessment, whilst diving was used as a technique to ground-truth geophysical anomalies.

Sites selected for diving investigation were investigated by teams from Wessex Archaeology Coastal & Marine section and the Port of London Authority, often working in zero visibility. This helped characterise each site and inform an appropriate mitigation strategy.

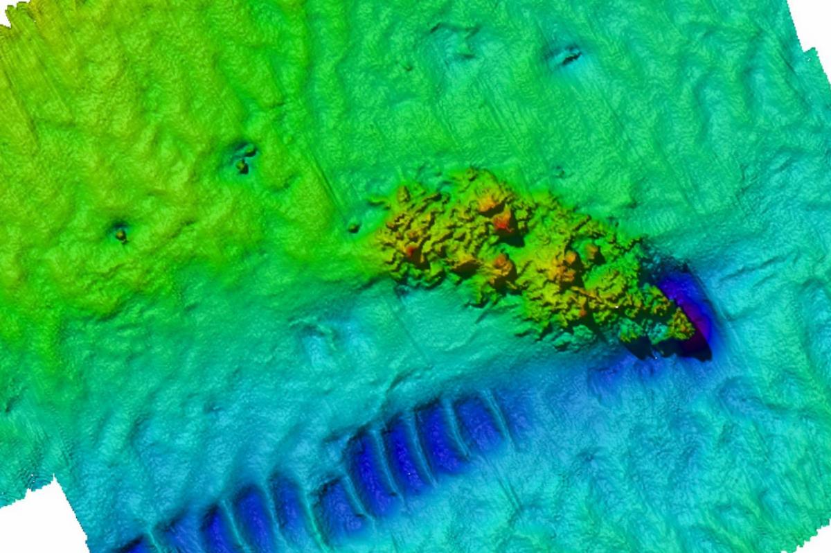
Recording of the Gresham Wreck recovered from the Thames Channel Multibeam image of the Argus in the Thames approach to DP World London Gateway Maunsell Sea Forts in the Thames approach to DP World London Gateway

Our Results

Early in the pre-dredging investigation phase, sites found and inspected included historic wrecks, evidence of crashed military aircraft and defensive structures dating from the First and Second World Wars. The potential was well known − earlier investigations by the Port of London Authority, supported by Wessex Archaeology, had identified a 16th-century armed merchant vessel with cannon bearing the crest of merchant and entrepreneur Thomas Gresham, who served Henry VIII, Edward IV and Elizabeth I.

Of significant archaeological importance were parts of a wreck known locally as ‘The King’ that Wessex Archaeology investigated and confirmed was in fact the wreck of the Second-Rate warship London, which was sunk by an on-board explosion in March 1665. As a result of the confirmation of the significance of the site, the navigation channel in which the site was situated, was eventually moved to the south to avoid it.

Work for DP World London Gateway included the investigation of a currently unidentified late 19th-century wreck dubbed ‘The Brick Barge’ − a vessel involved with the in the local trade of building materials along the estuary. It also involved the investigation of the Dovenby, built in 1891, and travelled as far as Sydney and San Francisco on her first major voyage in 1892. The Dovenby sank in the estuary in 1914 after colliding with the Dutch steam ship Sindoro in heavy fog.

Later investigations during and after dredging work have resulted in discrete discoveries of cannon, some early, various ship’s fittings and equipment, pottery, a batch of 13 pre-First World War hand guns, a Second World War aircraft’s machine gun and a range of ships timbers − one of which has been dated to the medieval period by radiocarbon dating. This attests to the vast range of marine archaeological material that exists in the Thames.

This included the discovery of a rare Second World War German reconnaissance aircraft. It had been flown by a special operations squadron that undertook long range missions, but was shot down by a Norwegian fighter ace of 332 (Norwegian) Squadron, Royal Air Force. The full story of the discovery and investigation can be read below.

Other discoveries included a previously unknown wreck of a paddle tug. Research has suggested that this is probably the wreck of the Tyne & Wear built paddle tug Admiral which sank following a collision in 1872.


Read the full report on our Open Library.
Click here.

Conclusion

Not only did the work for DP World London Gateway help characterise the archaeological potential of the Lower Thames and Estuary and deliver some fascinating archaeological results, it also set a multitude of archaeological standards that have been absorbed into other infrastructure projects since. In many ways, the development work here set the template for joined-up EIA/consent, design-phase investigations and construction in sustainable large-scale marine projects.

To purchase the full publication visit our publications page here.